Hi Editors,
I’ll appreciate your help with a map update.
Permalink: https://waze.com/en-GB/editor?env=row&lat=-31.79607&lon=115.95672&zoomLevel=17&editSuggestions=f6ad91da-3067-4eb9-8068-709a10f05719
Reason: Go easy on me! I’m new! I’ve made a few amendments to the intersection of Gnangara Rd and Drumpellier Dr to reflect the left turn lanes. I think there might be a user request for similar here also.
Be appreciative if someone could have a look and approve!
Also, if there’s a WA based legend that can help me along the way, that would be awesome too!
Thank you in advance,
Hi!
Fellow editor from WA here. I’m posting in here as well to let other people know that we have direct messaged each other.
For this one, we generally do not map slip lanes at intersections like these as the Waze app can handle the intersection fine without them. Mostly use them for on-ramps and off-ramps to highways/freeways.
In line with our Revised Waze Editing Philosophy, our mapping standards have changed in 2020. For more information, see new technology, new mapping standards .
Exits, forks and splits
Remove micro-doglegs
Micro-doglegs at intersections have previously been used to force an override of voice prompts or lane guidance. They have now joined the list of banned map hacks as they do not represent the reality and degrade the snapper intelligence. If you see these, please remove them immediately and replace them with respective features.
[image]
Micro-doglegs are a problem for snapper. Please remove any you find.
[image]
Micro-doglegs should be removed.
How to fix broken doglegs
Where two roads separate and continue to run parallel with each other, a large obtuse angled dogleg should be mapped:
[image]
Roads that run parallel should have a small dogleg added.
Where two roads drift apart, the dogleg should be removed:
[image]
Otherwise, just allow segments to drift a part.
Below are some examples from the USA of what to look out for and remove:
[image] [image]
[image] [image]
[image] [image]
Where should exits, forks and splits start/end?
Lanes have often been mapped to be long in order to provide drivers with advanced notice of manoeuvres ahead. With improvements to turn instructions , including lane guidance , this is no longer necessary. The position of Waze is that this practice is to be avoided, and corrected wherever it is found on the map.
In the below example, with the long lane starting at point A, if the GPS drifts (seen in green), the snapper may be fed data which could see the snapper position the driver on an unintended route.
[image]
GPS drift is a factor in long lanes which can be easily avoided.
Whereas if the lane commenced at the preferred position, point B, prior to the gore point, this risk is eliminated. Please ignore the fact that a dogleg is present in the below example - these screenshots are from a live presentation Waze made to the community.
[image]
Shorter lanes remove the risk of errors.
The start of exits, forks, splits and turn/slip lanes should occur just prior to the gore point; just prior to the point the driver can legally perform the manoeuvre. The dogleg does not need to initially align with the centre of the new lane:
[image]
The preferred position for lanes to start and end.
What does a perfect dogleg look like?
Waze provided the below example of what the dream dogleg should look like. While this is considered the perfect example, it is not exactly straightforward to map at the moment. Hopefully one day, a script will assist to automate the mapping in the future. For the time being, the above guide on mapping doglegs continues to be applicable.
[image]
A perfect dogleg, provided by Gil in Oct 2021
Necks on roundabouts
For very large roundabouts, in the scale of 100m in diameter, where there is a clear separation of GPS tracks in two-way direction, a ‘V’ is needed for the neck of the roundabout.
[image]
GPS tracks clearly separate at the neck of the roundabout.
If the road leading to the roundabout is already divided because it meets the requirements to divide the road , then the divided road can connect to the roundabout at different points.
[image]
Divided roads connect to the large roundabout at separate points.
Dedicated slip/turn lanes
When should slip/turn lanes be mapped?
The mapping of turn lanes should be rare - and the specifics are discussed further down the page. But there are of course intersections with circumstances where the mapping of turn lanes is required.
Snapper is smart enough to know that drivers do not turn at 90 degree angles. It does this by expecting a divergence of the driver will occur approximately between geometry nodes of an intersection when they take turns. This action feeds into snapper’s intelligence, along with all the other sensor data, to help predict the driver’s future position.
That said, snapper is still flexible though. Case in point, Waze indicated the following example was still fine without slip lanes:
[image]
Snapper expects a curve.
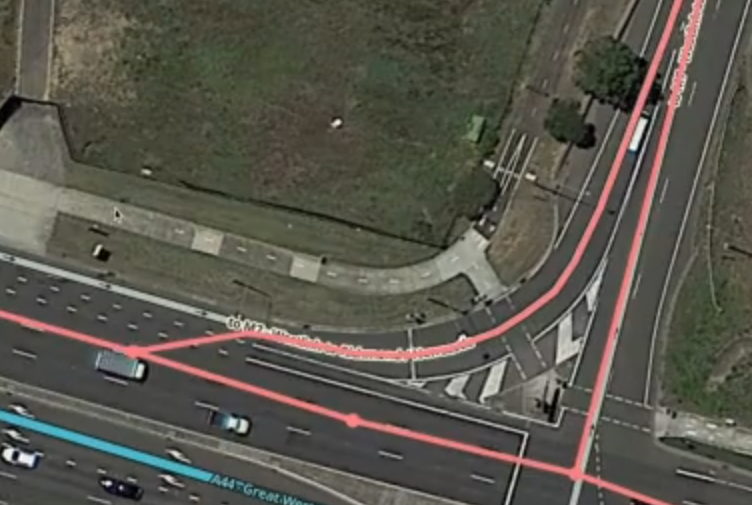
Slip lanes become much more valuable when there are geometry nodes close to the intersection, after the turning lane has already begun. You can see in the following example, the geometry node that close to the intersection is required, so the turn lane is mapped.
[image]
This intersection has a geometry node close to the intersection.
The second scenario of value is where there are very large islands, or traffic islands that force traffic to be in the turning lane earlier than normal:
[image]
Traffic is forced to merge earlier because of the large traffic island.
Australia’s position on dedicated slip/turn lanes
Australia has a different position on these lanes than other countries, which we have attempted to explain as follows. There has been some arguing from some community members so we wanted to lay out our case here so it is plain to see. It is…