Dưới đây là các lỗi thường gặp cần phải tránh khi edit, nếu bị các lỗi này thì bản đồ sẽ không hiển thị hoặc không dẫn đường qua được. Khuyến nghị tất cả các anh em editors đọc để tránh lỗi này nhé. Ngoài ra, anh em có thể tham khảo các lỗi khác ở Waze Wiki USA
Không xác nhận địa chỉ (Address)
Đường chưa được xác nhận địa chỉ sẽ bị lỗi có ĐƯỜNG VIỀN MÀU ĐỎ (Red Road) và không được hiển thị trên bản đồ live.
Khắc phục: Bạn phải xác nhận địa chỉ của 1 đường. Nếu đường không có tên: Bấm vào Address > Bấm Apply luôn > Save (Nếu edit nhiều đường, điền “None”)
Giao điểm không cho phép đi đi qua
Tại các giao điểm (Node): Khi vẽ hoặc điều chỉnh giao điểm Phải kiểm tra giao điểm đó có cho rẽ/ đi thẳng chưa.
Kiểm tra kỹ các mũi tên để tránh giao lộ không đi qua được.
Giải pháp khắc phục
- Vào Layers > Disable Turns (hoặc Shift + Z) hoặc để hiện thị luôn các nút giao không được phép đi qua.
- Và chọn giao điểm (node): Chọn Allow all turn hoặc phím tắt W
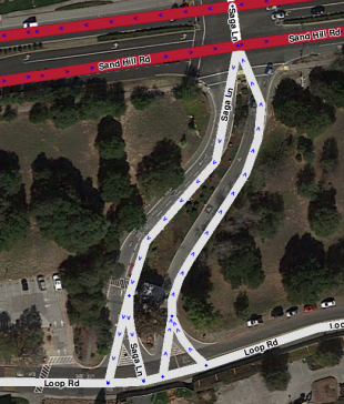
Vòng lặp (Loop Roads)
-
2 đoạn đường (segments) không được nối vào nhau tạo thành vòng lặp theo hình vòng tròn/ hình vuông. >> Khắc phục: Vẽ thành 3 đoạn như hình
Khắc phục lỗi vòng lặp Loop roads bằng cách tách thành 3 segment
Lỗi đường chưa được kết nối
Nếu đường bị lỗi kết nối với đường khác, khi bấm vào segment đó sẽ không thể hiện mũi tên đi thẳng/chỉ hướng.
Đường không được kết nối khi bấm vào sẽ không hiện mũi tên chỉ hướng rẽ
Khắc phục: Bạn kéo điểm kết nối lỗi ra chỗ khác, sau đó rồi kết nối lại.
Nguyên nhân lỗi: 1. Đặt chế độ Zoom quá nhỏ khi vẽ đường; hoặc 2. Bạn thao tác quá nhanh, hệ thống phản hồi không kịp sẽ gây ra lỗi này.
Khuyến nghị:
- Zoom in lớn hơn nhé (Zoom nhỏ nhất nên ở mức 17/22, đưa con chuột vào dấu + - sẽ thấy mức độ zoom, để chế độ nhỏ quá sẽ vẽ bị lệch đường).
- Để ý khi vừa mới nối xong thì sẽ hiện ngay mũi tên chỉ hướng, nếu không hiện thì chắc chắn là lỗi rồi.
- Khi chọn điểm kết nối thì nên click chậm, đặt con chuột sao cho cái segment nó sáng lên thì mới chuẩn.
Mất tên đường khi edit hàng loạt
CẦN CẨN TRỌNG KHI EDIT ĐỒNG LOẠT 1 LẦN, PHẢI KIỂM TRA LẠI TRƯỚC KHI SAVE
- Đối với mục ADDRESS, KHÔNG EDIT ĐỒNG LOẠT NHIỀU ĐƯỜNG 1 LẦN NẾU BẠN KHÔNG NẮM RÕ NGUYÊN TẮC,** NẾU KHÔNG SẼ BỊ MẤT TÊN ĐƯỜNG.**
- Nếu bạn muốn chỉnh City cho đúng, chỉ chọn đường **CHƯA ĐƯỢC ĐẶT TÊN.** hoặc chỉ chọn duy nhất 1 con đường cùng tên. Nếu chọn cả đường đã được đặt tên và No Name thì khi Save sẽ bị **MẤT TÊN ĐƯỜNG**.
- Toàn bộ các edit hàng loạt PHẢI ĐƯỢC KIỂM TRA LẠI bằng cách rê chuột vào nút SAVE
(không bấm) và kéo xuống nó sẽ hiển thị mình chỉnh sửa những gì, kiểm tra kỹ tên đường có bị mất không.
Lỗi không cho quay đầu ở đường đôi (Double left/right turn)
Ở các đường đôi, thuật toán của Waze không cho phép quay đầu (Preventing median U-turns) nếu cả 3 điều kiện sau bị vi phạm:
-
Gồm 3 segment: Segment tới (A), Segment nối (B) và segment thoát (C)
-
Chiều dài segment nối giữa (B) ngắn hơn 16m (Note: theo Wiki US là 14m ~ 45.93 ft)
-
Góc giữa segment đến (A) và segment thoát (C) nhỏ hơn ±5°.

Khắc phục: Nếu segment nối (B) nhỏ hơn 16m thì áp dụng các cách sau để Waze không cấm quay đầu
- Cắt segment nối (B) thành 2 đoạn, như vậy điều kiện 1 sẽ không thỏa. (Lưu ý nếu segment ngắn quá cũng bị trừ điểm lỗi nhỏ)
- Chỉnh hai đường đôi cách nhau tối thiểu 16m (Điều kiện 2)
- Sử dụng Script Junction Angle Info (JAI) để đo góc giữa 2 segment (Điều kiện 3)
- Tạo Junction Box (Level 4)
Lỗi vẽ đường dẫn phụ không cần thiết tại giao lộ
Lỗi thường gặp: Tại các giao lộ, thông thường editors mới hay gặp lỗi là vẽ thêm 1 nhánh rẽ để đúng với đường đi của mình. Tuy nhiên việc này không cần thiết vì sẽ gặp lỗi sau:
- Waze sẽ đọc là Keep Right (Giữ phải) thay vì đúng ra phải là Turn Right (Rẽ phải)
- Gây rối cho lái xe vì trên bản đồ lại hiện 2 lối rẽ
- Trường hợp bạn đã đi qua lối rẽ phụ đó, thì waze sẽ không điều hướng đúng để cho rẽ nữa (Do lối ở trên sẽ thường set cấm rẽ)
Bạn chỉ cần vẽ thêm lỗi rẽ phụ trong trường hợp: Lối rẽ tách biệt có đảo hoặc phân cách cứng hoặc vạch xương cá hoặc lối rẽ này xuất hiện sớm và cách xa giao lộ; nếu không vẽ lối rẽ này thì waze sẽ không thông báo đúng lúc cho lái xe, dẫn đến bị sai đường.
| Không nên | Nên |
|---|---|
| Ví dụ lỗi ở đây là vẽ thừa 1 nhánh rẽ phải từ đường Rio Del Mar Blvd qua Venetian Rd. | Vẽ đơn giản như vậy vẫn đảm bảo ok. |
Nguyên tắc đơn giản
Không cần phải vẽ bản đồ chi tiết từng làn xe giống 100% đường trên thực tế, vì nó sẽ gây ra khó dẫn đường, gây nhầm lẫn và tốn rất rất nhiều tài nguyên. Chỉ vẽ thêm lane, khi làn rẽ cách giao lộ khá xa, nếu không vẽ riêng thì tài xế sẽ bị đi lố. Tham khảo thêm ở đây.
HÃY ĐƠN GIẢN NHẤT CÓ THỂ, CHỈ VẼ CHI TIẾT KHI THẬT CẦN THIẾT.
| Quá phức tạp, sẽ gây rối cho lái xe và hệ thống | Đơn giản > OK |
|---|---|
| Không cần thiết vẽ nhiều lanes | OK |
Khi nào cần vẽ đường đôi?
Do vẽ đường đôi yêu cầu khối lượng công việc chỉnh sửa, check lỗi gần như gấp đôi so với đường đơn. Sau đây là các nguyên tắc khi vĩ đương đôi:
- Chỉ nên vẽ đường đôi khi có giải phân cách cứng vật lý ở giữa. Tuy nhiên nếu giải phân cách ngắn, không liên tục, không ảnh hưởng tới việc chỉ hướng của Waze thì không cần vẽ đường đôi (Lưu ý set mũi tên rẽ hướng cho phù hợp). Bạn có thể trao đổi thêm với AM/CM để nắm rõ hơn.
- Nếu là vạch liền, hoặc đảo giao thông vạch xương cá: Không cần thiết phải vẽ đường đôi.
| Không nên | Nên |
|---|---|
| Không cần vẽ đường đôi ở đây, vì giải phân cách giữa chỉ là một đoạn ngắn. | Vẽ đơn giản hóa những đoạn giải phân cách ở giữa ngắn (Lưu ý setup mũi tên rẽ hướng cho phù hợp). Như vậy sẽ dễ kiểm tra lỗi và lái xe dễ nhận biết hướng hơn. |
Lỗi vẽ đường đôi khi không cần thiết
Để vẽ một đường đôi yêu cầu editor phải bỏ ra công sức gần như gấp đôi so với việc chỉ vẽ một đường đơn riêng lẻ. Do đó, hãy hạn chế vẽ đường đôi khi không thực sự cần thiết bằng cách áp dụng nguyên tắc đơn giản của Waze.
Nguyên tắc đơn giản (chi tiết): Không cần phải vẽ bản đồ chi tiết từng làn xe giống 100% đường trên thực tế, vì nó sẽ gây ra khó dẫn đường, gây nhầm lẫn và tốn rất rất nhiều tài nguyên. Chỉ vẽ thêm lane, khi làn rẽ cách giao lộ khá xa, nếu không vẽ riêng thì tài xế sẽ bị đi lố
| Không nên | Nên |
|---|---|
| Không cần vẽ đường đôi ở đây, vì giải phân cách giữa chỉ là một đoạn ngắn. | Vẽ đơn giản hóa những đoạn giải phân cách ở giữa ngắn (Lưu ý setup mũi tên rẽ hướng cho phù hợp). Như vậy sẽ dễ kiểm tra lỗi và lái xe dễ nhận biết hướng hơn. |











