Jednostavnije je bolje
- Izbjegavaj dodavanje više segmenata nego što je potrebno (npr. dijeljenje prometnice) i bespotrebno lomljenje segmenta
- Nepotrebne lomove segmenta uklanjaš tako da mišem dođeš iznad točke loma i pritisneš tipku “D”.
- Nepotrebne spojeve dva segmenta koji tvore istu cestu brišeš tako da prvo klikneš na točku spoja i nakon toga klikneš na ikonu koša za smeće. To će obrisati spoj, ali će umjesto njega ostaviti lom segmenta. Ukoliko taj lom nije potreban, pogledaj prethodnu stavku da vidiš kako ga ukloniti.
- Što je manje čvorova (junction) prisutno, Waze će lakše izračunati najbolji put.
- Izbjegavaj dodavanje nepotrebnih landmark-a na karti (pogotovo ako su maleni).
Imenuj ceste ispravno
Polje ‘Grad’ stavlja se samo kad se segment nalazi unutar naseljenog mjesta (naznačeno pravokutnim prometnim znakom). Polje Primary name (PN, primarno ime) ispunjava se na osnovu slijedećih pravila:
- Gradske ceste
- Kao primarno ime navodi se puni naziv ulice s prvim velikim slovom, točno kako piše na tabli s imenom, npr: “Ilica”, “Grada Vukovara”, “Slavonska avenija”, a kao alternativna imena mogu se nazvati drugi nazivi pod kojim je ta ulica poznata. Npr. PN=“Grada Vukovara”, AN=“Vukovarska”.
- Riječ “ulica” se izostavlja iz imena. To se ne odnosi na ceste, avenije, puteve, odvojke itd., kada ta riječ predstavlja dio naziva, npr. “Gagarinov put” ili “Nova cesta”.
- Državne, županijske, lokalne ceste
- Molimo da zatražite iskusnije editore da provedu potrebne izmjene jer je ovo veoma kompleksna tema o kojoj se aktivno diskutira.
- Skretanja i poveznice: nije potrebno imenovati, jer će pri navigaciji Waze navesti ime ulice u koju ta poveznica vodi. Kod njih treba označiti samo ime mjesta (Grad), a kod naziva ceste treba staviti kvačicu pored None.
- Isto ime na čitavoj cesti. Pripazi kako upisuješ nazive cesta i normalno koristi dijakritičke znakove (čćđšž). Pripazi da cesta na svim svojim segmentima ima isto ime, a za alternative nazive koristi polje alternativnih naziva.
Bez crvenih segmenata
Pri stvaranju nove ceste dok joj ne dodijeliš ime, ista se unutar Editora prikazuje crvenom bojom, a klijent ju neće ispravno prikazivati, niti će ju koristiti u navigaciji. Zato je potrebno svim segmentima dodjeljivati ime, kao što je opisano u prethodnoj točki.
Crveni segmenat
Provjeri jesu li segmenti međusobno spojeni
Kad odabereš neki segment, na oba njegova kraja moraju se pojaviti strelice skretanja na ostale segmente. Ako se ništa ne pojavi to znači da dva segmenta nisu međusobno povezana. Zna se desiti da segment “sjedne” na drugoga, bez da se kreira spoj, pa zato uvijek trebaš na taj način provjeriti je li spoj zaista i napravljen.
- “SHIFT” + “Z”: pokazuje sve crvene strelice koje su trenutno aktivne. Odlična opcija za brzo pronalaženje mogućih problema! Imati pravilno postavljena skretanja jedna je od osnovnih pretpostavki za dobru navigaciju. Ponovno pritisni “SHIFT” + “Z” kako bi se vratio na običan pregled i napravio eventualne ispravke.
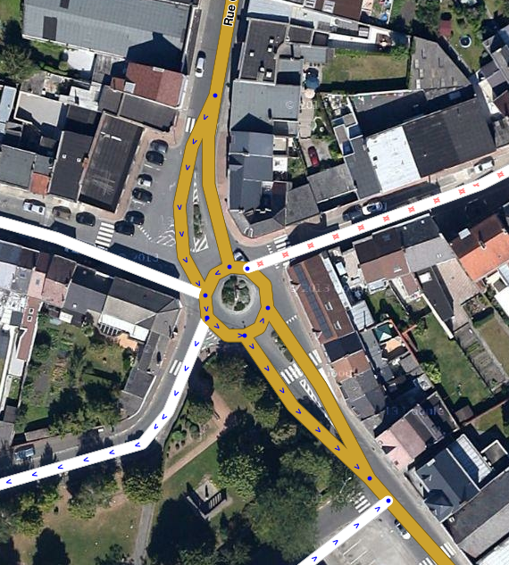
Kružni tokovi
Ispravan kružni tok
Kružni tokovi malo su zeznuti za editiranje. Za početak, o njima trebaš znati ovo:
- Izbjegavaj ih dirati, pogotovo dok ne stekneš dosta iskustva u Editoru (barem na L2).
- Kružnim tokovima se ne dodjeljiva primarno ime.
- Izbjegavaj razdvajati segmente ulaza/izlaze u kružnom toku (“praćku”) ako je kružni malog radijusa (manje od 20tak metara).
- Kod kreiranja kružnog toka, sve ceste koje u njega ulaze ili izlaze, prvo moraš spojiti u jednu točku koja se nalazi negdje u sredini. Zatim podesi geometriju kako bi nakon dodavanja kruga, točka spajanja s kružnim tokom došla na željeno mjesto. Tek tada kreiraj kružni tok. Svi segmenti unutar kruga automatski će biti uklonjeni, a skretanja automatski kreirana.
Tipovi cesta
Jedine vrste cesta koje se ne koriste pri izračunu rute su “Parking lot road” (koje se koriste za mapiranje glavnih ulica na parkingu ili velikih odmorišta) i “Private roads” (korištene samo za ceste za stanare, odn. pristupne ceste benzinskim crpkama, ograđenim prostorima itd.). Zato prvo vrijeme upotrebljavaj samo “Street” (ceste unutar naseljenih mjesta) i “Primary street” (glavne i lokalne ceste).
Izbjegavaj crtati pješačke staze, željeznice i kategorije cesta koje nisu dostupne vožnji autom.
Zaključani segmenti
Prije izvršavanja bilo kakve izmjene dobro je provjeriti jesu li svi segmenti koji želiš uređivati urediti dostupni za editiranje tvom nivou. Za promjenu skretanja na nekom raskrižju potrebno je da su svi segmenti tog raskrižja otključani.
- Koristi ove upute kako bi zatražio otključavanje pojedinih segmenata. Nakon što to bude učinjeno dobit ćeš privatnu poruku na forumu.
- Napomena: Neke ceste su automatski blokirane od strane Waze-a, ovisno o prometu koji cirkulira (road rank) i ne može biti otključana. U tom slučaju takva promjena bit će automatski izvršena od strane iskusnijeg editora. Ova informacija se pojavljuje ispod padajućeg izbornik sa razinama “Lock-a”.
Brisanje segmenata

Nemoj to raditi, pogotovo ako se radi o nekoj važnijoj prometnici (koja je slučajno ostala otključana). Umjesto da prometnicu brišeš i ponovno ju crtaš, radije joj promijeni geometriju i ispravi što misliš da treba, bez brisanja. Brisanjem se brišu i svi statistički podaci prikupljeni za taj segment, tako da bi radi toga Waze neko vrijeme mogao nuditi lošije rute, dok ponovno ne sakupi dovoljno relevantnih podataka o tom segmentu.
Izbjegavaj kretati “u petoj”
Posveti se prvo vrijeme na ceste u naseljima, po mogućnosti mjestima koja dobro poznaješ. U prvim koracima bolje je da pustiš izmjenu najprometnijih ulica iskusnijim editorima. Nakon svakog spremanja uvijek provjeri što si učinio, vrlo je lako pogriješiti!
Glavna stranica | Index